Scale Insects: Pest Control | Identify & Treat
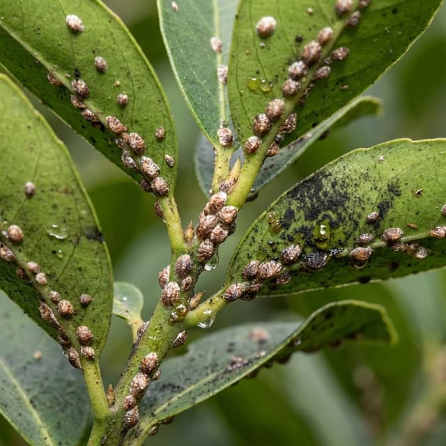
Scale insects are small sap-sucking pests that appear as brown, shell-like bumps on plant stems and leaves. There are over 25 species, divided into armored (hard) and unarmored (soft) scales. They feed by piercing plant tissue and extracting sap, which weakens the plant and can lead to yellowing, stunted growth, and even death if left untreated. They also excrete honeydew, which attracts ants and promotes sooty mold growth.
Medium
30 days
What is Scale Insects?
Scale Insects is a pest condition with moderate severity that affects plants. Scale insects are small sap-sucking pests that appear as brown, shell-like bumps on plant stems and leaves. There are over 25 species, divided into armored (hard) and unarmored (soft) scales. They feed by piercing plant tissue and extracting sap, which weakens the plant and can lead to yellowing, st...
Scale Insects is a pest disease with moderate severity that spreads at a moderate rate. Recovery typically takes approximately 30 days with proper treatment. It affects 10 plant species in our database. This condition is contagious and can spread between plants.
Unlike fungal diseases, Scale Insects can be controlled quickly with integrated management. Without immediate action, the infestation spreads to nearby plants. Without isolation, nearby plants can become infected within days.
๐ What Are the Symptoms of Scale Insects?
TLDR: Scale Insects presents 8 main symptoms. Early identification is crucial for effective treatment.
Main Symptoms
- ! Small brown rounded lumps on leaves and stems
- ! Shell-like or waxy bumps on undersides of leaves
- ! Yellowing or chlorotic (pale) leaves
- ! Sticky honeydew coating on leaf surfaces
- ! Black sooty mold fungus growing on honeydew
- ! Drooping or wilting leaves
- ! Stunted growth and reduced plant vigor
- ! Presence of ants feeding on honeydew
Visual Signs
โ What Causes Scale Insects in Plants?
- โ Introduction of infected plants from nurseries
- โ Poor plant health making them more susceptible
- โ Warm indoor environments favoring reproduction
- โ Lack of natural predators indoors
- โ Overcrowding of plants allowing easy spread
- โ Stress from heat, drought, or poor care
๐ How to Treat Scale Insects?
TLDR: Treat Scale Insects with 15 days of quick treatment or 30 days of organic treatment. Full recovery takes approximately 30 days.
Quick Fixes
~15 days
Step 1
Blast affected plants with strong water spray from garden hose to dislodge scale insects
Step 2
Mix emergency soap solution: 1 tablespoon dish soap + 1 teaspoon vegetable oil + 1 teaspoon 90-proof alcohol + 1 quart water
Step 3
Spray solution directly on scale insects, focusing on undersides of leaves
Step 4
Physically wipe off visible scale with damp cloth or soft brush
Step 5
Repeat treatment every 2-3 days for one week
Materials needed:
Organic Treatment
~30 days
Step 1
Inspect plants weekly to identify scale insects in their crawler stage (before protective coating develops)
Step 2
Mix insecticidal soap: 1 tablespoon dish soap + 1 quart water in spray bottle
Step 3
Spray affected areas thoroughly, ensuring contact with insects, once daily for 3-4 days
Step 4
Apply horticultural oil (neem oil) to suffocate eggs, nymphs, and adults
Step 5
Physically remove visible scale by wiping leaves with damp cloth
Step 6
Introduce beneficial insects like ladybugs, lacewings, or parasitic wasps for ongoing control
Step 7
Apply fermented stinging nettle tea spray as additional organic treatment
Materials needed:
Expert Treatment
~45 days
Step 1
Identify scale species and life stage through careful inspection
Step 2
Apply systemic insecticide (Dominion 2L or imidacloprid) as soil drench around plant base
Step 3
Use 10 gallons of water per 1,000 square feet with hose-end sprayer for uniform application
Step 4
Supplement with horticultural oil spray to target all life stages, including armored adults
Step 5
Apply treatment during crawler stage for maximum effectiveness
Step 6
Integrate beneficial insects (parasitic wasps, soldier beetles) for biological control
Step 7
Monitor weekly and document scale population changes
Step 8
Reapply systemic treatment every 8-12 weeks as needed
Step 9
Prune heavily infested branches to reduce pest pressure
Step 10
Implement preventive monitoring program for early detection
Step by Step
- 1
Isolate the infected plant from others immediately
- 2
Remove visible scale manually with soft brush or alcohol swab
- 3
Prune away heavily infested stems and leaves
- 4
Apply neem oil or horticultural oil thoroughly, covering all surfaces
- 5
Repeat treatment every 7-10 days for 4-6 weeks
- 6
Monitor daily for new scale emergence
- 7
Return plant to collection only after 2 weeks scale-free
๐งช Natural vs Chemical: Which Treatment Works for Scale Insects?
๐ฑ Natural Solutions
- โ Remove scale manually with fingernail or soft toothbrush
- โ Use Q-tip dipped in rubbing alcohol to dissolve scale armor
- โ Apply neem oil spray every 7-10 days
- โ Use insecticidal soap spray on affected areas
- โ Apply horticultural oil to smother insects
- โ Prune heavily infested leaves and branches
- โ Use consumer-grade pressure washer to dislodge pests
- โ Release beneficial insects like ladybugs or parasitic wasps
๐ Chemical Solutions
- โ Horticultural oils to smother all pest stages
- โ Systemic insecticides absorbed by plant tissues
- โ Contact insecticides for immediate knockdown
- โ Repeat applications every 7-10 days until infestation clears
Treatment Comparison
| Type | Estimated time | Steps | Difficulty | Best For |
|---|---|---|---|---|
| โกQuick | ~15 days | 5 | Advanced | Urgent cases |
| ๐ฟOrganic | ~30 days | 7 | Advanced | Indoor plants |
| ๐ฌExpert | ~45 days | 10 | Advanced | Severe infections |
๐ก๏ธ How to Prevent Scale Insects?
TLDR: Prevent Scale Insects with 7 essential care practices. Regular monitoring is key for early detection.
- โ Carefully inspect all new plants before bringing them home
- โ Quarantine new plants for 2-3 weeks away from other plants
- โ Maintain plant health with proper watering and fertilization
- โ Ensure good air circulation around plants
- โ Regularly inspect plants, especially leaf undersides
- โ Keep plants properly spaced to prevent spread
- โ Encourage natural predators like ladybugs and lacewings
๐Related Diseases

Spider Mites
HighSpider mites are tiny arachnids (less than 1/20 inch long) related to spiders and ticks that feed on plant sap. They thrive in hot, dry conditions and can cause significant damage to ornamental and vegetable plants. During severe infestations, crop losses can reach 14% or higher as these pests disrupt vital plant processes including photosynthesis, carbon dioxide absorption, and transpiration.

Whiteflies
HighWhiteflies are small, soft-bodied, winged insects closely related to aphids and mealybugs. They are moth-like in appearance, about 1/16 inch long, triangular in shape, and gray-white in color. These sap-sucking pests feed on plant tissue, causing yellowing, stunted growth, and wilting. They also excrete honeydew, which attracts ants and promotes sooty mold growth. Whiteflies can transmit serious plant viruses.

Mealybugs
HighMealybugs are small, soft-bodied insects covered with a white, waxy, cottony material. They are common pests of houseplants and outdoor plants in mild climates. These sap-sucking insects feed on plant tissue, causing damage, stunted growth, and can lead to plant death if left untreated. They produce sticky honeydew which attracts sooty mold.

Fungus Gnats
MediumFungus gnats are small, gray-to-black mosquito-like insects (1/8 to 1/10 inches long) commonly found in indoor plants. Adult gnats are mostly a nuisance, but their larvae feed on plant roots and organic matter in soil, potentially causing serious damage to young or vulnerable plants. The larvae are translucent white with distinctive black heads and can leave slime trails on the soil surface in heavy infestations.